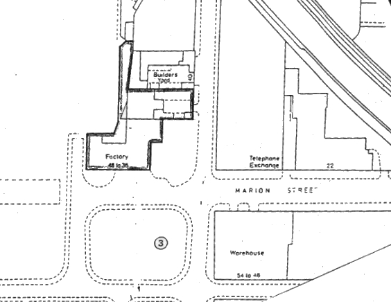
The "Star Yacht Works", known locally as "Denye's", started in 1922 with one building in Marion Street.
The factory and workers 1923. Franz-Marie Denye on far left with Tony Denye sitting next to him, on far right Franz's wife, Marie-Valerie with Fernand Denye sitting down next to her.
Again 1923, upstairs in the timber room. To the rear, Franz-Marie with Tony and Fernand Denye on scooters.
1923, upstairs in the sail-making room.
1923, the construction room.
1923, the paint shop with Fernand at the heater.
The factory about 1931. Fernand and Jean-Jacques Denye at the gate.
In 1937 land adjacent on the left hand side was purchased and a new 2 floor extension was built allowing the "Works" to be expanded to roughly double the floor area, giving the more recognisable frontage in the photos that you see today. The factory was now known as "Star Yachts".
1939 - 45. When the Second World War started, a lot of the items made in the factory were deemed to be non-essential items and were prohibited from being made, so production on them stopped. John-Jacques managed to secure some work for the staff still about by producing items for the war effort, namely scrambling nets for the Navy and ammunition boxes for the Army, this allowed the factory to remain open and also allowed a small production of the smaller yachts to continue. Alongside this WD production, John-Jacques worked in Duke Street as a toolmaker. A lot of the yacht series finished during these years, full production of the surviving yachts would not continue until well into the 50s due to scarcity of wood, with it being diverted to rebuilding of war damaged buildings and housing.
In the early 1950s as the property of builders merchants Coward & Davies in the adjacent Adelphi Street came available, this was merged into an even bigger Star Works, now known as "Star Productions". This new acquisition was at first used for extra storage but was not fully utilised and was eventually sold on before closure.

Below the "Works" in the 1970s viewed from Adelphi Street with Leta Street just visible on the right at the end of the factory building, The Peugeot outside was Frank Denye's and the Ford Consul Granada was his father John-Jacques car.
1970s, Peter and Frank Denye with Harry Young, Peter hand making a hull for a Western Star with Frank, in his unusual overalls which helped stop the dust getting on his clothes and Harry holding a Pacific Star.
Late 1980s outside the factory with Peter Denye on the left next to supervisor Joan and Harry on the far right
Below is a later floor plan, dimensions and an itinery of machinery. (Click to enlarge.)
Below, on the right covered up, a 32" circular saw, tea chests for packaging the yachts in and through the door at the rear, to the heavy machine shop that contained a double gang saw, 2 band saws, 3 circular saws, 2 copy lathes and 1 auto lathe.
The drying shed after closure with most of the racks removed, with just a few at the far end, the left hand one still loaded with hulls.
Extraction from the factory was with, below on the left, the cyclone which removed the wood shavings and on the right, the fine dust extractor which collected dust into the hanging bags. Waste was taken down into the cellar to be burnt in the furnace of a boiler which was used to heat the factory.
"Star Productions" at closure 1990.